Service Guide

Get Ants Extermination Service

Local contractors offer ant extermination services to eliminate infestations and protect properties from ongoing pest problems.

Ants can quickly become a persistent nuisance for property owners, causing concerns that range from minor inconveniences to potential structural issues. If you’re noticing signs of an ant problem, exploring local extermination services can provide practical solutions tailored to your specific needs. By comparing nearby contractors, property owners can identify experienced providers equipped to handle ant infestations efficiently and effectively, helping to protect the integrity of their property.

Considering ant extermination services is a proactive step for those seeking reliable, professional assistance in managing pests. Local service providers understand the unique challenges faced in the area and can offer targeted strategies to address ant issues. Keep reading to learn more about how local contractors can help maintain a pest-free environment and support your property’s upkeep.

Get Ants Extermination Service Quotes

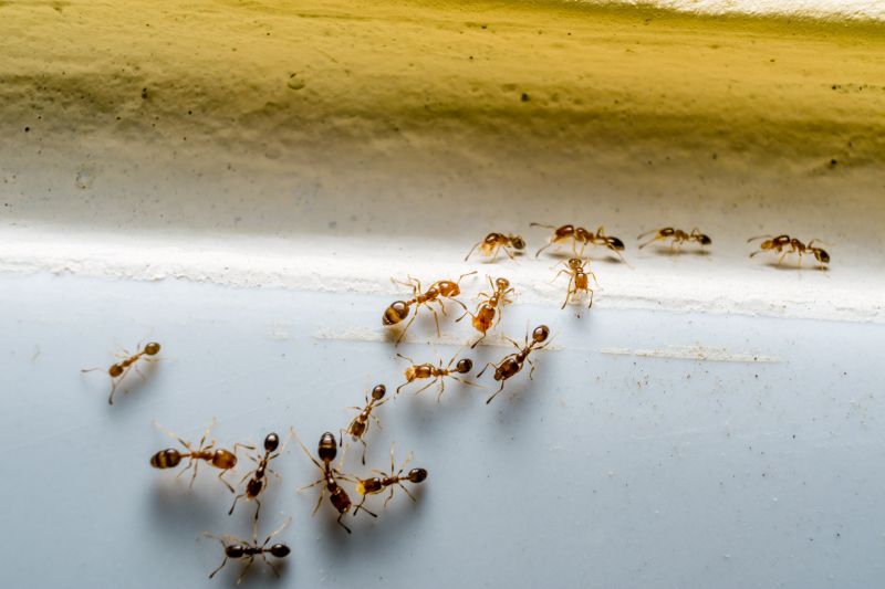
  • Ants Extermination - needed when ants invade kitchens or living spaces, creating a persistent pest problem.
  • Ants Inspection - required when homeowners notice unusual ant activity or suspect an infestation.
  • Ants Prevention - essential for property owners seeking to keep ants from establishing nests around their homes.
  • Ants Treatment - necessary when standard cleaning does not eliminate ant colonies or trails.
  • Ants Barrier Services - useful for those looking to establish a protective perimeter against future ant invasions.
Ants Extermination Service
Ants Extermination Service
Ants Extermination Service

Ants extermination services involve professional treatment methods designed to eliminate ant colonies and prevent future invasions. Service providers typically assess the extent of the ant problem, identify the species involved, and apply targeted solutions to eradicate both visible ants and hidden nests. These treatments may include the use of bait stations, perimeter sprays, and other effective techniques to ensure thorough removal. The goal is to create a barrier around the property and eliminate the source of the infestation, helping homeowners regain control over their living spaces.

Ant problems often arise when ants find easy access to food, water, or shelter within or around a property. Common signs include visible trails of ants, ant mounds near the foundation, or ants inside the home especially in kitchens, bathrooms, or near entry points. Ants can be a nuisance, and in some cases, they can cause damage or contamination to food supplies. Professional extermination services help address these issues quickly and effectively, reducing the risk of ongoing infestations and preventing potential damage to the property.

Property types that typically utilize ant extermination services include single-family homes, apartment complexes, townhouses, and commercial buildings. Homes with gardens, patios, or landscaping are often more susceptible to ant invasions due to the outdoor environment providing easy access points. Commercial properties such as restaurants, grocery stores, or warehouses also seek professional help to maintain a pest-free environment that meets health and safety standards. Whether a property is residential or commercial, local contractors can tailor treatments to the specific needs of each property type.

Homeowners often seek ant extermination services when they notice signs of an infestation or want to prevent future problems. If ants are discovered indoors, especially in kitchens or near food storage areas, professional treatment can help eliminate the problem and reduce the likelihood of recurring invasions. Additionally, properties with visible ant trails or nests outside may benefit from targeted treatments to protect the entire property. Contacting local service providers ensures access to experienced professionals capable of addressing the unique challenges posed by ant infestations in various property settings.

The overview below groups typical Ants Extermination Service projects into broad ranges so you can see how smaller, mid-sized, and larger jobs often compare in your area.

In many markets, a large share of routine jobs stays in the lower and middle ranges, while only a smaller percentage of projects moves into the highest bands when the work is more complex or site conditions are harder than average.

Basic Ant Control - Typical costs for routine ant extermination services range from $250 to $600 for many smaller jobs. Most projects fall within this middle range, covering common household infestations. Fewer jobs require extensive treatments that can exceed this range.

Targeted Treatments - For specific ant species or localized nests, local contractors often charge between $300 and $700. These projects tend to be more focused and less invasive, making them more affordable in many cases.

Large-Scale Infestations - Extensive ant problems, such as multiple colonies or large property treatments, can cost $1,000 to $3,000 or more. Larger, more complex projects are less common but necessary for severe infestations.

Full Property Extermination - Complete property treatments, including multiple visits and comprehensive coverage, often range from $2,000 to $5,000+. These are typically reserved for severe or persistent ant issues requiring extensive work.

Actual totals will depend on details like access to the work area, the scope of the project, and the materials selected, so use these as general starting points rather than exact figures.

Get a Quote

Pest Control Treatments - Professionals skilled in applying targeted treatments to eliminate pests, sharing techniques used in ant extermination to ensure effective results.

Insect Extermination Projects - Projects involving the removal of various insects require similar planning, tools, and knowledge of pest behavior as ant control services.

Rodent Control Services - Handling rodent infestations involves assessing entry points and applying control methods, paralleling ant extermination strategies.

Termite Inspection and Treatment - Detecting and treating termite issues involves careful planning and specialized tools similar to those used in ant eradication efforts.

Wildlife Removal Projects - Removing nuisance wildlife from structures involves similar skill sets, including inspection and targeted removal techniques as in ant extermination.

Structural Pest Prevention - Implementing preventative measures to protect buildings from pests involves planning and knowledge applicable across various pest control projects.

Ants Extermination Service

When evaluating potential contractors for ant control services, it is important to consider their experience with similar projects. A local service provider that has handled ant extermination in homes similar to yours is more likely to understand the common challenges and effective solutions specific to your area. Asking about their background with residential ant issues can help ensure they have the practical knowledge needed to address your situation efficiently.

Clear, written expectations are essential when choosing a pest control provider. This includes understanding the scope of work, the methods that will be used, and any preparations or follow-up treatments required. Service providers who can provide detailed and transparent descriptions of their process help create a shared understanding and reduce the chances of misunderstandings. This clarity ensures that homeowners know what to expect and can plan accordingly.

Reputable references and good communication are key factors in selecting a reliable local contractor. Asking for references from recent clients can provide insights into the quality of service and the provider’s professionalism. Additionally, a contractor who maintains open lines of communication-responding promptly to questions and providing updates-can make the experience smoother and more predictable. While this site introduces homeowners to local options, it does not perform the work itself; it aims to connect individuals with qualified service providers who can handle the ant extermination effectively.

Get an Ants Extermination Service Quote

Property owners use Ants Extermination Service services for practical projects around their homes and businesses. This guide focuses on everyday jobs and straightforward project options.

Ants Extermination Service
Ants Extermination Service

Ants can quickly become a nuisance for property owners dealing with common household or outdoor projects. Whether ants are invading a kitchen, nesting in a backyard garden, or creating trails along a foundation, local contractors are available to help eliminate these pests and prevent future issues. Homeowners and business owners often seek professional assistance to address ant problems that disrupt daily routines or compromise the comfort and cleanliness of their spaces.

In many cases, property owners turn to local service providers when ants threaten to damage plants, contaminate food storage areas, or cause structural concerns. These experts can assess the situation, identify the ant species involved, and implement targeted treatments to resolve the problem effectively. Connecting with experienced local contractors ensures that ant-related concerns are handled efficiently, helping property owners maintain a safe and pest-free environment.

Get an Ants Extermination Service Quote

How can local contractors eliminate ants from my property? Local ant extermination service providers typically assess the infested areas and apply targeted treatments to remove ants and prevent future infestations.

Are there effective methods for preventing ant re-infestation? Yes, local service providers often recommend sealing entry points, removing food sources, and using barrier treatments to help prevent ants from returning.

What types of ant species can local extermination services handle? Local contractors are equipped to address a variety of ant species, including common household ants and more persistent types like carpenter ants.

Do local ant extermination services offer environmentally friendly options? Many local providers offer treatments that minimize environmental impact, using targeted solutions to control ant populations effectively.

How do local pros identify the extent of an ant infestation? They typically inspect the property thoroughly to locate nests, trails, and entry points to determine the severity and plan appropriate treatment strategies.

Ants Prevention Tips - Property owners can learn practical strategies to reduce ant attractants around their homes and gardens.

Inspection and Identification - Homeowners can identify ant entry points and nesting sites to better understand the scope of the problem.

DIY Solutions Guidance - Individuals can receive advice on safe and effective DIY methods to control minor ant infestations.

Professional Service Benefits - Property owners can explore how local contractors offer targeted treatments to eliminate ants and prevent future issues.

Ants Extermination Service

If you are thinking about Ants Extermination Service for a property, this guide is meant to help you understand the work, the typical project types, and how different options might fit your plans.

When you are ready, you can use the quote form on this page to share a few details about your project. From there, local pros can review the basics and respond with options that match what you have in mind.

Get a Quote

Ants Extermination Quotes

Our Trusted Partners
Pestgo Exterminators
Kilter Termite and Pest Control
Cantu Pest Control